Lighton Tower, one of the tallest buildings in Overland Park, is visible when passing through Overland Park. It’s especially prominent when you’re passing by on I-435 and College Boulevard. The office tower is joined by two other office buildings and together, the three are surrounded by a sea of surface parking.
But new plans by Price Brothers Development, the owner of the property, will see some of that parking eliminated for both residential and retail/restaurant space.
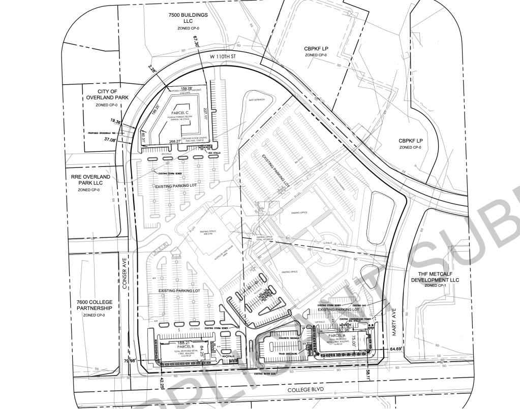
Preliminary plans submitted to the City of Overland Park call for the Lighton Plaza parcel to be subdivided and portions of the property be rezoned to allow for residential and retail space. Two single-story retail buildings will be constructed along College Boulevard (southern end of the site) and include up to 28,100sf of space. The retail buildings are of the standard suburban-style.
Located at the northwest corner of the site at where Conser turns into 110th Street, Price intends to build a 4-story apartment building with 160 apartments. The apartment building will sit on top of a 140-space parking garage. Per an elevation diagram, the building will be clad in a mixture of brick and EIFS with cast stone being used as an accent.

Despite three new buildings being constructed, Lighton Plaza still has ample surface parking that could, hypothetically, be replaced with additional development in the future. The three proposed buildings reduce the total number of parking spaces from 1772 stalls to 1364 (140 of which are garage spaces).
Klover Architects is serving as the architect for the project.
Basic elevations for the apartment and retail buildings are included in the gallery below.



Leave a comment